Tam 507 yıl yaşamıştı! Dünyanın en yaşlı hayvanı yanlışlıkla öldürüldü

Giriş Tarihi:
ahaber.com.tr Haber Merkezi

2006'da İzlanda açıklarında deniz tabanından çıkarılan Arctica islandica türü dev midyenin yaşı önce 405 yıl olarak hesaplandı. Ardından yapılan radyokarbon tarihleme, gerçek yaşının 507 olduğunu ortaya koydu. 1499 civarında doğan bu canlı, beş asırlık tarihe sessizce tanıklık etmişti.

Tam 507 yıl yaşamıştı! Dünyanın en yaşlı hayvanı yanlışlıkla öldürüldü 1

Yüzyıllarca yaşayan canlılar denince çoğu kişinin aklına mercanlar ya da sünger kolonileri gelir. Ancak koloni oluşturmayan ve tek başına yaşamış en yaşlı hayvan unvanı bir memeliye değil, okyanusun dibindeki bir midyeye ait. Üstelik bu rekor, bilim insanlarının rutin bir araştırması sırasında ortaya çıktı.

Tam 507 yıl yaşamıştı! Dünyanın en yaşlı hayvanı yanlışlıkla öldürüldü 2

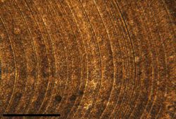
🐚 1499'dan Günümüze Uzanan Bir Yaşam

2006 yılında İzlanda kıyılarında yapılan bir deniz araştırması sırasında dev bir okyanus midyesi çıkarıldı. Türün adı "Arctica islandica" idi. Bu türün yaşı, kabuğundaki yıllık büyüme halkaları sayılarak belirleniyor.

Tam 507 yıl yaşamıştı! Dünyanın en yaşlı hayvanı yanlışlıkla öldürüldü 3

İlk incelemelerde midyenin 405 yaşın üzerinde olduğu anlaşıldı. Ancak araştırmacılar daha kesin bir sonuç için radyokarbon tarihleme yöntemine başvurdu. Bangor Üniversitesi'nden James Scourse liderliğindeki ekibin yeniden analizi ve radyokarbon tarihlemesiyle yaşın 507 olduğu açıklandı. Bu da doğum tarihinin yaklaşık 1499 yılına denk geldiği anlamına geliyordu.

Tam 507 yıl yaşamıştı! Dünyanın en yaşlı hayvanı yanlışlıkla öldürüldü 4

Bu tarih, Osmanlı'nın yükseliş dönemine, Avrupa'daki Rönesans'a ve Çin'deki Ming Hanedanlığı'na denk düşüyordu. Bu nedenle medya midyeye "Ming" adını verdi. Aynı canlı; Reform hareketlerini, sanayi devrimini, iki dünya savaşını ve modern çağı geride bırakmıştı.

Tam 507 yıl yaşamıştı! Dünyanın en yaşlı hayvanı yanlışlıkla öldürüldü 5

🔬 Uzun Ömrün Arkasındaki Bilim

Bu türün 100 yılı aşan bir yaşam süresine sahip olduğu zaten biliniyordu. Ancak Ming, bu sınırın çok daha ileri gidebileceğini gösterdi. Bilim insanları uzun ömrün nedenini anlamak için hücresel düzeyde incelemeler yaptı. Arctica islandica'nın metabolizması son derece yavaş çalışıyor. Oksijen tüketimi düşük olduğu için hücresel yıpranma da azalıyor. Araştırmalar, hücre içindeki hasar seviyelerinin yaşla birlikte belirgin biçimde artmadığını ortaya koyuyor. Özellikle nükleik asit oksidasyonu dışında, hücresel bozulma neredeyse sabit kalıyor. Bu durum güçlü bir hücresel bakım mekanizmasına işaret ediyor.

Tam 507 yıl yaşamıştı! Dünyanın en yaşlı hayvanı yanlışlıkla öldürüldü 6

⚖️ Bilimin Kazancı, Canlının Sonu

Ming'in hikayesi bilim için önemli bir kazanım oldu. Ancak sonu trajikti. Midye deniz tabanından çıkarıldıktan sonra laboratuvar sürecinde yaşamını yitirdi. Büyük ihtimalle çıkarıldıktan sonra dondurulması buna neden oldu. Böylece bilim insanları, şimdiye kadar kayda geçmiş en yaşlı bireysel hayvanı keşfettikleri gün kaybetmiş oldu.

Mobil uygulamalarımızı indirin